Captura de Dados

gentlelogo

Objetivos:

Aprenda como criar e editar dados vetoriais e atributos.

Palavras-chave:

Editando, captura de dados, cabeçalhos, tabela, base de dados

Visão Global

Nos dois tópicos anteriores demos uma olhada nos dados vetoriais. Nós vimos que existem dois conceitos chave para dados vetoriais, designadamente: geometria e atributos. A geometria de um elemento vetorial descreve a sua forma e posição, enquanto que os atributos de um elemento vetorial descreve as suas propriedades (cor, tamanho, idade etc.).

Nesta seção veremos com mais detalhes o processo de criação e edição de dados vetoriais — na geometria e nos atributos dos elementos vetoriais.

Como é que os dados digitais SIG são armazenados?

Processadores de texto, folhas de cálculos e pacotes de gráficos são todos os programas que permitem criar e editar dados digitais. Cada tipo de aplicação salva os seus dados para um formato de arquivo particular. Por exemplo, um programa de gráficos te deixará salvar os seus desenhos como .jpg imagem JPEG , os processadores de texto deixarão você salvar o documento como um .odt OpenDocument ou .doc Documento Word, e assim por diante.

Como outras aplicações, as aplicações SIG podem armazenar os seus dados em arquivos no disco rígido do computador. Existe um número de diferentes formatos de arquivo para dados SIG, mas o mais comum é provavelmente a ‘shape file’. O nome é uma pequena aposta naquilo que já chamamos de arquivo de forma (singular), e atualmente consiste em pelo menos três diferentes arquivos que funcionam juntos para armazenar os seus dados digitais vetoriais, como é exibido em table_shapefile.

Extensão

Descrição

.shp

A geometria dos elementos do vetor são armazenadas neste arquivo

.dbf

Os atributos dos elementos vetoriais são armazenados neste arquivo

.shx

Este arquivo é um index que ajuda a aplicação SIG a encontrar os elementos mais rapidamente.

Tabela Shapefile 1: Os arquivos básicos que juntos formam uma ‘shapefile’.

Quando vê os arquivos que fazem uma shapefile no disco rígido do computador, irá ver qualquer coisa como a figure_shapefile. Se deseja partilhar dados vetoriais armazenados nas shapefiles com outra pessoa, é importante que dê todos os arquivos da camada. Assim, na árvore de camadas exibida em figure_shapefile, vai necessitar de dar à pessoa os seguintes arquivos trees.shp, trees.shx, trees.dbf, trees.prj e trees.qml.

Figure Shapefile 1:

../../_images/shapefile_on_disk.png

Os arquivos que fazem a ’árvore’ da shapefile é vista como um gerenciador de arquivos do computador.

Muitas Aplicações SIG são também capazes de armazenar dados digitais dentro de uma base de dados. Geralmente, armazenar dados SIG numa base de dados é uma boa solução porque a base de dados pode armazenar grandes quantidades de dados de forma eficaz e pode fornecer dados à Aplicação SIG rapidamente. Usando uma base de dados permite também várias pessoas trabalharem com as mesmas camadas de dados vectoriais ao mesmo tempo. Configurando a base de dados para armazenar dados SIS é mais complicado que usar shapefiles, por isso para este tópico iremos apenas focar na criação e edição de shapefiles.

Planeje antes de começar

Antes de criar uma nova camada vetorial (que será armazenada numa shapefile), vai necessitar de conhecer que geometria de camada irá ser (ponto, linha ou polígono), e necessita de saber que atributos a camada vai ter. Vamos dar uma vista de olhos em alguns exemplos e será mais claro como iremos proceder.

Exemplo 1: Criar um mapa de turismo

Imagine que quer criar um mapa bonito sobre o turismo para a sua área local. A sua visão do mapa final é uma carta topográfica de 1:50.000 com marcadores sobrepostos para sítios de interesse para turistas. Primeiro, vamos pensar na geometria. Sabemos que podemos representar uma camada vetorial usando elementos de pontos, linhas ou polígonos. Qual deles faz mais sentido no seu mapa de turismo? Podemos usar pontos se queremos marcar localizações específicas como pontos de observação, memoriais, locais de batalha e por aí adiante. Se queremos que os turistas prossigam ao longo de uma rota, como por exemplo uma rota cénica atravessando uma montanha, terá mais sentido usar linhas. Se tem áreas fechadas que são de interesse turístico, como por exemplo, uma reserva natural ou uma vila cultural, a melhor escolha será usar os polígonos .

Como pode ver muitas vezes não é fácil saber que tipo de geometria vai necessitar. Uma abordagem comum a este problema é fazer uma camada para cada tipo de geometria que necessita. Por isso, por exemplo, se ver os dados digitais fornecidos pela Direção principal: Levantamentos e Mapeamento da África do Sul, eles fornecem uma camada de áreas de rios (polígonos) e uma camada linha de rios. Eles usam a camada de áreas de rios (polígonos) para representar cursos de água que são largos, e usam uma camada de linhas de rios para representar faixas estreitas de rio. Na figure_tourism nós podemos ver como as camadas de turismo podem aparecer no mapa se usarmos todos os três tipos de geometria.

Figure Tourism 1:

../../_images/tourism_map.png

Um mapa com camadas de turismo. Nós usamos três tipos de geometria para os dados de turismo para que de forma apropriada pudéssemos representar diferentes tipos de elementos necessários para os visitantes, dando a eles toda a informação que necessitam.

Exemplo 2: Criar um mapa dos níveis de poluição ao longo do rio

Se quer medir os níveis de poluição ao longo do curso do rio pode viajar ao longo do rio no barco ou caminhar ao longo da sua margem. Em intervalos regulares pode parar e recolher várias medições como por exemplo, níveis de Oxigénio Dissolvido (DO), contagem de Bactérias Coliformes (BC), níveis de turbidez e pH. Pode também de precisar de fazer uma leitura do mapa para saber a sua posição ou obter a sua posição com um receptor GPS.

Para armazenar os dados recolhidos de um exercício como este numa Aplicação SIG, provavelmente deverá ter de criar uma camada SIG com geometria do tipo ponto. Usando a geometria do tipo ponto faz todo o sentido porque cada amostra recolhida representa as condições num local específico.

Para os atributos nós iremos querer um **campo* para cada coisa que descreve o local de amostras. Portanto iremos ter uma tabela de atributos que se parece com a da table_river_attributes.

Número da Amostra

pH DO CB

Turbidez

Colector

Data

1 7 6 N

Baixo

Paciencia

12/01/2009
2 6.8 5 Y

Médio

Thabo 12/01/2009
3 6.9 6 Y

Alto

Victor 12/01/2009

Tabela de Atributos do Rio 1: Desenhar uma tabela como esta antes de criar a sua camada vetorial irá permitir que decida que atributos dos campos (colunas) irá precisar. Note que a geometria ( posições onde as amostras são tiradas) não são exibidas na tabela de atributos — a Aplicação SIG armazenada separadamente!

Criando uma shapefile vazia

Uma vez planeado os elementos que quer usar para a captura para o SIG, e o tipo de geometria e os atributos que cada elemento devem ter, pode seguir para o próximo passo que é a criação de uma shapefile vazia.

O processo normalmente começa por escolhermos a opção ‘nova camada vetorial’ na Aplicação SIG e de seguida selecionar o tipo de geometria (veja figure_new_shapefile). Como abrangemos no tópico anterior, isto significa escolher ponto, linha ou polígono para a geometria.

Figure New Shapefile 1:

../../_images/new_shapefile.png

Criar uma nova camada vetorial é tão simples como preencher em poucos detalhes um formulário. Primeiro escolha o tipo de geometria, e de seguida adiciona os campos dos atributos.

De seguida irá adicionar campos à tabela de atributos. Normalmente, nós damos nomes aos campos que são curtos, não têm espaços e indicam que tipo de informação será armazenado no campo. Os campos que podem servir de exemplo são, ‘pH’, ‘CorTecto’, ‘TipoEstrada’ e por aí adiante. Assim como a escolha do nome par cada campo, necessita de indicar como a informação deve ser armazenada no campo — ex.: é um número, a palavra ou uma frase, ou data?

O programa de computador normalmente chama a informação que faz as palavras ou frases ‘cadeias de texto‘, portanto se necessitar de armazenar alguma coisas como nome da rua ou o nome do rio, deve usar ‘Texto’ para o tipo de campo.

O formato shapefile permite que possa armazenar informação numérica no campo como número num todo (inteiro) ou número decimal (ponto flutuante) — portanto necessita de pensar antes os dados numéricos que vai capturar, se vai ter casas decimais ou não.

A etapa final (como mostra a figure_save_shapefile) para a criação de uma shapefile é dar um nome e escolher um sítio no disco rígido do computador onde irá ser criada. Uma vez mais é uma boa ideia dar à shapefile um nome curto mas com significado claro. Bons exemplo são, ‘rios’, ‘amostrasagua’ e por aí adiante.

Figure New Shapefile 2:

../../_images/save_shapefile.png

Após definirmos a geometria e atributos da nossa camada, nós necessitamos de salvar no disco. É importante dar um nome curto mas com significado à sua shapefile.

Vamos recapitular rapidamente o processo outra vez. Para criar uma shapefile pode primeiro dizer que tipo de geometria irá conter, e de seguida criar um ou mais campos para a tabela de atributos, e de seguida salvar a shapefile no disco rígido usando um nome fácil de reconhecer. Fácil como 1-2-3!

Adicionando dados à sua shapefile

Até agora só criamos uma shapefile vazia. Agora necessitamos de ativar a edição na shapefile usando a opção do menu ‘ativar edição’ ou o ícone da barra de ferramentas na Aplicação SIG. As shapefiles não estão ativas para edição por defeito para prevenir alterações ou eliminação de dados acidentalmente que possam conter. De seguida necessitamos de iniciar a adição de dados. Existem dois passos que necessitamos de completar para cada registo que queremos adicionar à shapefile:

  1. Capturando a geometria

  2. Introduzindo os atributos

O processo de captura de geometria é diferente para os pontos, polilinhas e polígonos.

Para capturar um ponto, primeiro use as ferramentas de ampliação e de mover para obter a área geográfica correta dos dados que quer registar. A seguir necessitará de ativar a ferramenta de captura de pontos. Depois de fazer isto, o próximo passo é clicar com o botão esquerdo do mouse na vista do mapa, onde quer que apareça a sua nova geometria de ponto. Após de clicar no mapa, uma janela irá aparecer e pode introduzir todos os dados do atributo para esse ponto (veja figure_attribute_dialog). Se não tem certeza nos dados para um dado campo normalmente pode deixar em branco, mas tenha atenção que se deixar um número considerável de campos brancos vais ser dificil fazer um mapa útil a partir dos seus dados!

Figure Attribute Dialog 1:

../../_images/attribute_dialog.png

Depois de ter capturado a geometria do tipo ponto, será-lhe pedido para descrever os atributos. O formulário do atributo é baseado nos campos que especificou quando criou a camada vetorial.

O processo para capturar uma polilinha é similar ao do ponto, onde precisa primeiramente usar as ferramentas de ampliar e mover do mapa na vista de mapa para a área geográfica correta. Deve ampliar o suficiente para que o novo elemento vetorial linha apareça na escala apropriada (veja Dado Vetorial para mais detalhes nos problemas da escala). Quando preparado, pode clicar no ícone da barra de ferramentas de captura de linha e começar a desenhar a sua linha através do clique no mapa. Após fazer o seu primeiro clique, irá notar que a linha estica como uma banda elástica que segue o cursor do mouse à volta consoante vai movendo. Cada vez que clica com o botão esquerdo do mouse, um novo vértice será adicionado ao mapa. O processo é demonstrado na figure_capture_polyline.

Figure Capture Polyline 1:

../../_images/capture_polyline.png

Capturar linhas para um mapa de turismo. Quando edita uma camada do tipo linha, os vértices são exibidos com marcadores circulares que pode mover com o rato para ajustar a geometria da linha. Quando adicionado nova linha (exibida a vermelho), cada clique do mouse irá adicionar um novo vértice.

Quando acabar de definir a sua linha, use o botão direito do mouse para dizer à Aplicação SIG que acabou as suas edições. Assim como o procedimento para a captura do elemento do tipo ponto, será-lhe pedido para introduzir dados do atributo para o seu novo elemento linha.

O processo de capturar um polígono é quase o mesmo que capturar uma linha exceto quando necessita de usar a ferramenta de captura de polígonos na barra de ferramentas. Além disso, irá reparar quando desenhar a sua geometria na tela, a Aplicação SIG cria sempre uma área fechada.

Para adicionar um novo elemento depois de ter criado o primeiro, poderá simplesmente clicar outra vez no mapa com a ferramenta de captura ativa no ponto, linha ou polígono e começar a desenhar o seu próximo elemento.

Quando não tiver mais elementos para adicionar, tenha sempre o cuidado de clicar no ícone ‘permitir edição’ para alternar para o modo desligado. A Aplicação SIG irá salvar a sua camada recentemente criada no disco rígido.

Orientar a digitalização

Como provavelmente já terá descoberto ao seguir os passos acima, é difícil desenhar as entidades de modo a ficarem espacialmente corretas se não houver outras entidades que possam ser usadas como referência. Uma solução usual para este problema é usar uma camada de dados matricial (tal como uma fotografia aérea ou imagem de satélite) como uma camada de fundo. Pode usar esta camada como um mapa de referência, ou até mesmo tracejar as entidades da camada matricial de modo a inseri-las na camada vetorial, se estas forem visíveis. Este processo é conhecido como ‘digitalização na tela’ (“on-screen”) e é mostrado em figure_headsup_digitizing. “

Figure Digitizing 1:

../../_images/headsup_digitizing.png

Orientar a digitalização usando uma imagem de satélite como fundo. A imagem é usado como referência para a captura de elementos linha através do seu traçado.

Digitalização usando uma mesa de digitalização

Outro método de criação de dados vetoriais requer o uso de uma mesa de digitalização. Esta aproximação é de uso menos comum exceto por profissionais SIG, e requer equipamento caro. No processo de usar uma mesa de digitalização coloca-se um mapa em papel na mesa. O mapa em papel é mantido no lugar mediante o uso de pinças. Depois é usado uma “mira” para tracejar entidades de um mapa. Uma “cruz” pequena é usada para desenhar linhas e pontos com precisão. A mira está ligada a um computador e cada entidade que é capturada fica armazenada na memória do computador. Pode ver uma mira de digitalização em figure_digitizing_table.

Figure Digitizing 2:

../../_images/digitizing_table.jpg

Uma mesa de digitalização e mira são usadas por profissionais SIG quando têm que digitalizar elementos a partir de mapas existentes.

Após os seus elementos serem digitalizados...

Uma vez os seus elementos estarem digitalizados, pode usar técnicas que aprendeu no tópico anterior para configurar a simbologia para a sua camada. Escolher a simbologia apropriada irá permitir-lhe um melhor entendimento dos dados que capturou quando olha para o mapa.

Problemas comuns / coisas a ter cuidado

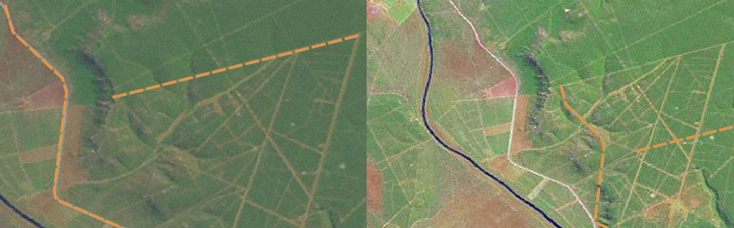
Se estiver a digitalizar usando uma camada matricial de fundo como uma fotografia aérea ou imagem de satélite, é muito importante que a camada matricial esteja devidamente georreferenciada. Uma camada que esteja devidamente georreferenciada é representada na sua posição correta na vista de mapa, baseada no modelo interno da Terra, da Aplicação SIG. Podemos ver o efeito de uma imagem mal georreferenciada em figure_georeference_issue.

Figure Digitizing 2:

../../_images/georeferencing_issue.png

A importância de usar imagens matriciais adequadamente bem georreferenciadas para digitalização na tela. Na esquerda podemos ver que a imagem está adequadamente bem registada e que os elementos da estrada (em laranja) sobrepõem-se perfeitamente. Se uma imagem estiver fracamente georreferenciada (como é mostrado na direita) os elementos não serão bem alinhados. Mais grave ainda, se a imagem da direita for usada como referência aquando da captura de novos elementos, os novos dados capturados serão inexatos!

Lembre-se também que é importante que esteja ampliada numa escala apropriada para que os elementos do vetor que criou seja úteis. Como vimos no tópico anterior na geometria vetorial, é má ideia digitalizar os seus dados quando estão numa ampliação a uma escala de 1:1.000.000 se pretende usar os dados que capturou numa escala de 1:50.000 ou inferior a esta.

O que aprendemos?

Vamos embrulhar o que abrangemos nesta ficha de trabalho:

  • Digitalizar é o processo de captura para obter conhecimento dos elementos geometria e atributos para um formato digital armazenado no disco rígido do computador.

  • Os dados SIG podem ser armazenados numa base de dados ou em arquivos.

  • O formato de arquivo mais comum é a shapefile que actualmente é um grupo de três ou mais arquivos (.shp, .dbf e .shx).

  • Antes de criar uma nova camada vetorial necessita de planear o tipo de geometria e os campos dos atributos que serão contidos.

  • A geometria pode ser ponto, linha ou polígono.

  • Os atributos podem ser inteiros (números inteiros), pontos flutuantes (números decimais), cadeias de texto (palavras) ou datas.

  • O processo de digitalização consiste no desenhar de uma geometria na vista do mapa e de seguida introduzir os seus atributos. Isto repete-se para cada elemento.

  • A digitalização na tela é frequentemente usada para providenciar orientação durante a digitalização recorrendo a uma imagem matricial como fundo.

  • Os utilizadores profissionais de SIG algumas vezes usam uma mesa de digitalização para capturar informação a partir de mapas em formato papel.

Agora experimente!

Aqui está algumas ideias para experimentar com os seu alunos:

  • Desenhe uma lista de elementos dentro e ao redor da sua escola que ache interessante capturar. Por exemplo: o limite da escola, a posição de pontos do sistema de alarme de incêndio, a disposição de cada sala de aula, e etc. Tente usar uma mistura de diferentes tipos de geometria. A seguir divida os alunos em grupos e atribua a cada grupo alguns elementos para capturar. Faça-os simbolizar as camadas de modo a que sejam expressivas à observação. Combine as camadas de todos os grupos de modo a criar um mapa da escola e arredores!

  • Encontre um rio local e retire amostras de água ao longo do seu curso. Faça uma nota da posição de cada amostra usando um GPS ou marcando a posição num mapa topográfico. Para cada amostra realize medidas tais como pH, oxigénio dissolvido, etc. Capture os dados usando uma aplicação SIG e crie mapas que apresentem as amostras com uma simbologia apropriada. Consegue identificar algumas áreas com problemas? A aplicação SIG foi capaz de ajudá-lo a identificar essas áreas?

Alguma coisa em que devemos pensar

Se não tiver um computador disponível, poderá seguir o mesmo processo usando folhas transparentes e um computador portátil. Use uma impressão de fotografia aérea, imagem ortoretificada ou imagem de satélite como camada de fundo. Desenhe colunas e escreva cabeçalhos nas colunas, para cada campo de atributos que queira armazenar informação. A seguir trace a geometria de elementos na folha transparente, escrevendo um número identificador para cada elemento de modo a ser identificado. A seguir escreva o mesmo número na primeira coluna da sua tabela no computador portátil, e preencha toda a restante informação que queira gravar.

Outras leituras

Sítio na Internet http://www.k12science.org/curriculum/waterproj/S00project/miami2000/miamiriverfinal.html — Projecto escolar para determinar a qualidade da água num rio local.

O Guia de Utilizador do QGIS também tem informação mais detalhada da digitalização de dados vetoriais no QGIS.

O que vem a seguir?

Na seção que se segue nós iremos abrager mais detlhadamente os dados matriciais para aprender tudo sobre como os dados de imagem podem ser usados no SIG.